
Mc4Software presenta la nuova release Mc4Suite 2026, un concentrato di innovazioni tecnologiche e normative nate per supportare il professionista in un panorama legislativo in continua evoluzione.
Oltre al recepimento immediato dei C.A.M. Edilizia 2025, la versione 2026 inaugura un percorso di aggiornamenti programmati che accompagneranno l’utente per tutto l’anno:
Diversamente da soluzioni basate su semplici visualizzazioni grafiche o dati tabellari, Mc4Suite fonda l’intero processo analitico sulla modellazione grafica dell’edificio e/o degli impianti.
Sfruttando la precisione dell’ambiente AutoCAD, il CAD più diffuso al mondo, ogni modifica all’involucro o alle reti impiantistiche si riflette istantaneamente sui calcoli, senza necessità di importazioni o esportazioni.
Questo rigore è oggi una garanzia per la validità delle relazioni e asseverazioni di progetto (Requisiti Minimi, Diagnosi Energetica, CAM, Conto Termico, ecc.), dove l’accuratezza del dato è il presupposto per la conformità dell’intero ciclo di progettazione.
Per rispondere alle diverse esigenze degli studi professionali, Mc4Suite 2026 è proposta nell’installazione OEM, autonoma, sviluppata direttamente con il motore grafico AutoCAD OEM 2026 di Autodesk e tutti i suoi comandi 2D/3D per il disegno tecnico, o in versione Plugin, come add-on per coloro che già utilizzano AutoCAD 2026.
Questa rinnovata scelta tecnologica non solo annulla i tempi di apprendimento, ma mette al riparo il professionista e i suoi clienti, assicurando che ogni centimetro quadrato calcolato corrisponda alla realtà del progetto.

Il modulo IFC di Mc4Suite 2026 concretizza l’impegno di Mc4Software verso l’openBIM grazie all’adozione di nuove librerie che assicurano una compatibilità superiore tra la piattaforma Microsoft .NET 8.0 e l’import dei modelli architettonici in formato IFC 4.
Oltre a una nuova funzione che permette di estrapolare automaticamente i dati termo-fisici dei materiali dal file IFC, qualora disponibili, la versione 2026 supporta ulteriormente l’iter di modellazione trasformando il file architettonico in un riferimento esterno dinamico.
Questa innovazione permette di gestire le varianti in modo fluido: in caso di modifiche al progetto originale, il software consente la sostituzione del file IFC mantenendo intatto tutto il lavoro energetico ed impiantistico già svolto, garantendo al progettista la massima efficienza e il pieno controllo del flusso informativo BIM.
Mc4Suite 2026 introduce una gestione ottimizzata dei dati estesi per le pareti vetrate, permettendo di modellare con estrema precisione l’involucro edilizio direttamente in fase di input grafico.
Grazie alla nuova struttura parametrica, ogni parete vetrata può essere ora scomposta dinamicamente in tre sezioni distinte: componente finestrato, porzione opaca inferiore (sottofinestra) e porzione opaca superiore (soprafinestra).
Nello specifico, il progettista può configurare in tempo reale quattro diverse tipologie di chiusure, dalla vetrata a tutt’altezza (facciata continua) alle pareti con fasce opache complementari. Inoltre, il software verifica automaticamente che la somma delle altezze delle sezioni corrisponda all’altezza netta dell’ambiente.

In questo modo, Mc4Suite 2026 semplifica la creazione di modelli complessi, garantendo che ogni centimetro quadrato di superficie, sia essa opaca o trasparente, venga correttamente attribuito al calcolo energetico e acustico senza necessità di elaborazioni ulteriori.
Mc4Suite 2026 introduce nel modulo THERMal Bridge un nuovo solutore FEM proprietario per il calcolo dei ponti termici agli elementi finiti, integrato direttamente nel programma.
Il nuovo motore di calcolo accelera drasticamente i tempi di elaborazione dei nodi e le verifiche di condensa superficiale, in conformità alle norme EN ISO 10211:2018, UNI/TS 11300-1:2014 e UNI EN ISO 13788:2013.
Il nuovo motore è adottato automaticamente come standard per tutti i nuovi progetti, garantendo una velocità di calcolo superiore ed una totale autonomia da applicativi terzi.
Al fine di assicurare la piena continuità operativa, Mc4Suite 2026 mantiene la perfetta compatibilità con i lavori realizzati nelle versioni precedenti: il progettista potrà infatti decidere in ogni momento se migrare i calcoli verso la nuova tecnologia Mc4Software. In alternativa, resta possibile richiamare il solutore esterno THERM 7.8.8 (Finite Element Simulator del Lawrence Berkeley National Laboratory – University of California), previa installazione sulla propria postazione, per validare i risultati ottenuti in precedenza.
Mc4Suite 2026 introduce una gestione evoluta per le pompe di calore con sorgente diversa dall’aria, come acqua di falda o terreno. Senza limitarsi all’uso di una temperatura costante o di una semplice media stagionale, Mc4Suite consente di definire profili personalizzati per ogni singola pompa di calore idro/geotermica presente nel progetto.
Nello specifico, il progettista può compilare tabelle dettagliate per il riscaldamento (dati BIN) e il raffrescamento, correlando con estrema fedeltà la temperatura della sorgente fredda a quella dell’aria esterna. Inoltre, l’inserimento dei dati è velocizzato da funzioni di compilazione estesa, che permettono di applicare valori costanti su base mensile o annuale con un semplice click.
In questo modo, Mc4Suite 2026 garantisce una precisione analitica senza precedenti nella simulazione del comportamento delle pompe di calore.

Di conseguenza, è possibile analizzare con rigore scientifico il rendimento reale delle macchine in base alla specifica natura della sorgente, superando le comuni approssimazioni di calcolo.

Mc4Suite 2026 introduce nuovi strumenti di assistenza guidata per la definizione dei sistemi impiantistici per il calcolo energetico, riducendo drasticamente i tempi di data-entry e il rischio di incongruenze.
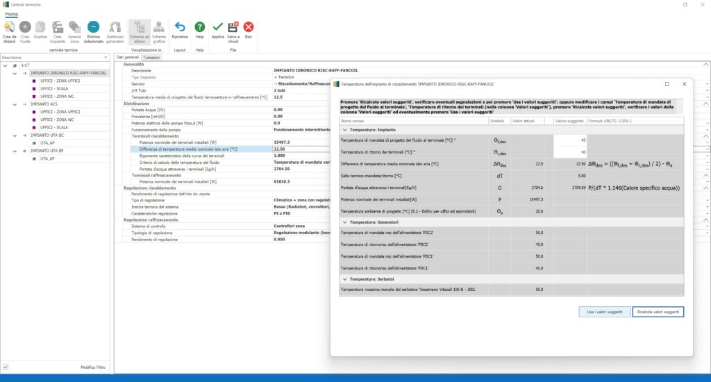
Ad esempio, per gli impianti idronici di riscaldamento e raffrescamento a fancoil, una nuova interfaccia interattiva permette di determinare i parametri di progetto partendo semplicemente dalle temperature di mandata e ritorno del fluido termovettore ai terminali.
Inoltre, il wizard applica automaticamente le relazioni analitiche previste dalla normativa UNI/TS 11300-2, calcolando in tempo reale il salto termico, la temperatura media di progetto e la portata d’acqua necessaria ai terminali. In questo modo, il progettista può verificare immediatamente la coerenza dei dati inseriti e la potenza nominale installata.
In risposta ai requisiti della norma UNI EN ISO 52016-1:2018, la gestione dei profili orari evolve in un’interfaccia grafica completamente nuova, progettata per offrire il totale controllo sui dati.
Grazie a un innovativo scheduler annuale in formato calendario, configurare set-point di temperatura, apporti interni e regimi di ventilazione diventa un’operazione visiva e intuitiva, organizzabile su base oraria, settimanale o stagionale.
Il sistema garantisce la massima precisione scientifica gestendo in automatico le anomalie degli anni bisestili e assicurando la perfetta coerenza tra i dati climatici dell’anno tipo climatico (T.R.Y. – Test Reference Year) e i profili di occupazione.
Questa accuratezza non è solo un plus tecnologico, ma un requisito indispensabile per affrontare con successo le diagnosi energetiche e le più rigorose verifiche CAM.

Mc4Suite 2026, nel suo modulo HtCAM, recepisce integralmente il nuovo D.M. sui Criteri Ambientali Minimi del 24/11/2025, automatizzando le stringenti verifiche obbligatorie per gli appalti pubblici.
Per garantire la massima continuità operativa sui progetti in corso, il software filtra automaticamente quale decreto adottare per le verifiche in base alla data del titolo edilizio (D.M. 23/06/2022 per titoli dal 04/12/2022 al 01/02/2026; D.M. 11/10/2017 per titoli antecedenti).
Questa gestione intelligente assicura la piena validità legale di ogni pratica, senza rischio di errori procedurali.
Dalla valutazione della temperatura operativa estiva tramite Metodo Dinamico Orario (UNI EN ISO 52016-1:2018), alla dichiarazione del comfort adattivo, ogni parametro è monitorato in tempo reale.
In particolare, Mc4Suite 2026 permette la gestione e la verifica puntuale dei seguenti criteri del nuovo decreto:
Il modulo NoiseCad compie ora un salto generazionale grazie alla rivisitazione integrale della maschera dei risultati.
L’integrazione di un avanzato visualizzatore tridimensionale flottante rivoluziona la fase di analisi: selezionando i risultati tabellari, il software evidenzia dinamicamente i percorsi di trasmissione acustica direttamente sul modello.
La maschera consente anche di “staccare” la porzione contenente il visualizzatore tridimensionale, per posizionarlo su un secondo monitor a disposizione.
Questa interazione spaziale rende immediata l’individuazione di ponti acustici o criticità, trasformando il controllo dei dati in un’ispezione visiva intuitiva e sicura.
Inoltre, per ottimizzare i tempi di calcolo, il software include ora una funzione intelligente che esclude automaticamente dalle verifiche tutte quelle coppie di ambienti la cui superficie di contatto non risulta significativa ai fini acustici secondo le norme UNI EN 12354-1-2-3:2017 (metodo semplificato), permettendo al professionista di concentrarsi esclusivamente sugli aspetti determinanti del progetto.
La Ventilazione Meccanica Controllata è oggi un pilastro fondamentale per il raggiungimento degli standard nZEB e la prevenzione di muffe e inquinanti interni.
La sezione DuctVMC del modulo Duct è stata ottimizzata per rendere il disegno e il dimensionamento delle reti VMC estremamente fluido, migliorando il bilanciamento delle portate, la generazione dei report di calcolo e dei computi metrici.
Grazie a questa integrazione, progettare sistemi VMC ad alta efficienza non è più un’operazione complessa, ma un passaggio naturale all’interno del processo di modellazione impiantistica, garantendo al contempo il massimo comfort per gli occupanti.